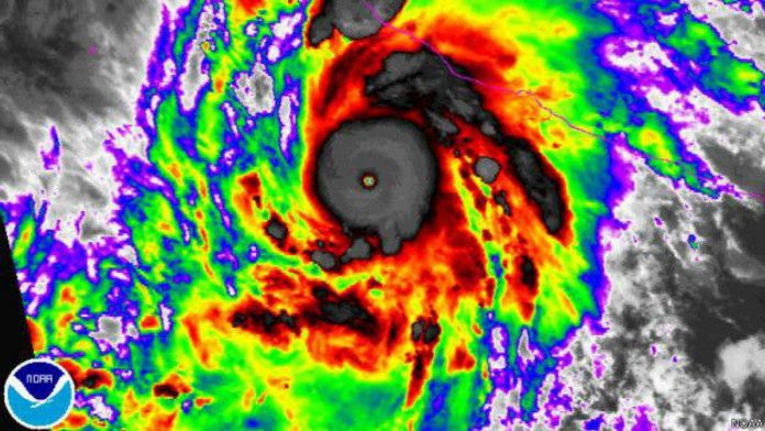
El huracán Irma, de categoría 5, el más fuerte registrado nunca en el Atlántico, se acerca peligrosamente a Puerto Rico sin ceder ni un ápice su fuerza y manteniendo sus vientos de 295 kilómetros por hora.
Las últimas estimaciones disponibles sitúan -en su paso más cercano a Puerto Rico- al ojo del huracán Irma a solo 40 kilómetros de la pequeña isla de Culebra, situada a 27 kilómetros de la costa este de la principal, lo que hace prever que el impacto será más virulento de lo esperado de acuerdo a la trayectoria prevista inicialmente.
LEER MÁS: Huracán Irma llega a categoría 5, Florida y Puerto Rico en alerta
La trayectoria del huracán coloca a Irma pasando a las 7 p.m. (6 p.m. en el Perú) a unos 50 kilómetros al norte de la capital, San Juan, la ciudad más importante pero también la más preparada.
Según el Centro Nacional de Huracanes (NHC) de EE.UU., Irma pasará el jueves cerca o sobre República Dominicana, para luego enfilar hacia Haití, las Islas Turcas y Caicos y Bahamas, seguir su ruta hacia Cuba y cernirse sobre Florida (Estados Unidos) el fin de semana.
LEER MÁS: Vuelos de Copa Airlines serán afectados por el paso del huracán Irma
Sobre el impacto de Irma sobre Florida, los expertos sostienen que «los vientos huracanados se empezarán a sentir el sábado y lo peor llegará el domingo».
Fuente: El Comercio

